仙人指叶子发软怎么办,2种处理方法即可对症下药

很多花友都不知道仙人指叶子发软怎么办,仙人指为什么发软,一般来说有减少浇水和换盆处理这两种处理方法。同时为了防止仙人指叶子发软,就要注意保持温度在15℃~25℃左右,半阴的短日照环境,每隔1~2天浇水一次,不定期的修剪梳蕾处理等4个要点,而且还要对其虫害做好预防。
一、仙人指叶子发软的两种处理方法
1、减少浇水

要想知道仙人指叶子发软怎么办,最大的原因是因为盆土里面的水分过多,出现积水现象,导致根部受损,叶片发软。需要减少浇水,及时观察盆土湿润情况,最好看表面干燥以后再进行浇水,然后置于通风透气的环境下即可。
2、换盆处理

仙人指如果叶子发软还有一个原因就是根部腐烂导致,土壤里还残留的腐烂病菌会造成根部感染,最好进行重新移栽处理。保证盆土良好的通透性,然后加入少量有机肥作为基质,重新移栽后浇入少量的水分,及时清理盆土杂质即可。
二、防止仙人指叶子发软的四个养护技巧
1、温度适宜

仙人指是喜欢在温暖的环境下生长的,生长适温为15℃~25℃左右。冬季温度过低时,植株生长缓慢,要做加温处理或者将其放在室内;夏季温度高于35℃时,仙人指生长迟缓进入休眠期,最好置于半阴或者通风良好的环境。
2、光照充足

仙人指喜欢半阴半阳的光照下生长,最好不要接受强烈阳光照射,到了盛夏的时候,应进行遮阴处理。其余的时间保证4个小时左右的短日照时间,晚上有10个小时以上的黑暗时间,以促进花芽分化和花蕾的形成,而且晚上不能灯光太强,否则会影响花蕾开花。
3、浇水适当

仙人指是一种比较耐旱的植物,春秋季节的时候应提供充足的水分,最好每隔1~2天浇水一次,保持盆土湿润即可。开花时候减少浇水次数,避免浇水过多导致叶片出现变黄发软等现象,夏季休眠期控制浇水并且防止雨淋即可。
4、修剪及时

在仙人指的花期时候进行不定期的修剪处理,剪除枝条上的枯叶和残枝,以保证养分的集中。并且春季结合翻盆进行修剪处理,如果花蕾过多,应进行梳蕾,一般每个叶片留有一个花蕾最佳,以促进植株的生长发育,促使其更好开花。
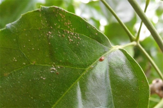
三、仙人指的虫害防治
1、蚧壳虫

在仙人指的生长期间,蚧壳虫的危害最常见,主要以吸食汁液为生,危害仙人指的花蕾,叶片,严重时候还会引起煤烟病。如果不处理它终生都会寄生在枝叶上,造成枝叶发黄,树势衰退死亡等现象。一旦发现最好用以少量的亚胺硫磷和马拉松乳剂溶液喷杀即可。
2、蚜虫

蚜虫也是仙人指最为常见的一种虫害,而且它的繁殖能力很强,主要危害嫩叶和花蕾,它所含有的真菌物质能损害植株的根茎组织功能,造成叶片枯萎发焉等现象。一经发现最好用少量乐果乳剂或者敌敌畏溶液进行喷杀,然后剪除病变部位即可。
结语:通过以上介绍,大家知道了仙人指叶子发软的处理方法,希望大家可以栽培出更为健壮的仙人指。










